Die Wahl zum Europäischen Parlament fand am 26. Mai 2019 statt.

20.11.11 –
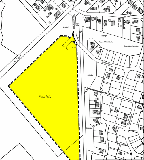
Oedeme bewahrt sich seinen dörflichen Charme trotz Zentrumsnähe. Neue Pläne gefährden jedoch das Ortsbild. Alfons Bauer-Ohlberg, Grünes Ortsratsmitglied, wendet sich an seine Nachbarn und fordert sie auf, ihre Rechte im Rahmen der Bürgerbeteiligung zu wahren.
Hier sein Schreiben, das am Donnerstag im Oedemer Dorf verteilt wurde:
Sehr geehrte Damen und Herren Anlieger,
zur Zeit liegt der Bebauungsplan Oedeme-Süd aus, damit die betroffenen Bürger und Bürgerinnen Einwände vorbringen können. Wir sind der Meinung, dass die neu ausgegebenen Ziele des B-Planes dem vorhandenen Siedlungscharakter widersprechen und wegen des Klimaschutzes heute notwendige Energie gewinnende Bauweisen verhindern.
Wir sehen das so:
Eine Zweigeschossigkeit passt nicht an den Ortsrand! Der Charakter der bisher vorhandenen Einfamilienhausgebiete um den Dorfkern Oedemes südlich des Hasenburger Baches herum wird damit aufgegeben.
Die geplante Maximalhöhe der Gebäude von 9 Metern in Verbindung mit einem flach geneigten Dach erzeugt im Straßenbild hohe Fassaden und das Dach verschwindet aus dem Blickfeld der Menschen, die sich auf den Straßen bewegen.
Verlangen Sie einen Verzicht auf die Zweigeschossigkeit!
Durch die geplante höhere Anzahl der Grundstücke in Verbindung mit der Zweigeschossigkeit entstehen mehr Gebäude und die Abstände zwischen den Gebäuden verringern sich, so dass der Grad der gegenseitigen Verschattung steigt. Damit wird auch der begrünte Freiflächenanteil in kleinere Stücke aufgeteilt und das ursprünglich gewollte Naturerleben vernachlässigt.
Verlangen Sie eine Begrenzung der minimal möglichen Grundstücksgrößen!
Und verlangen Sie in weiten Bereichen die Bebauung von Doppelhäusern, damit mehr zusammenhängende Freifläche verbleibt.
Es sollten vorausdenkend Bauweisen gefördert werden, die nicht nur Energie einsparen, sondern mindestens ihren eigenen Energiebedarf selbst erzeugen.
Noch besser wäre die zusätzliche Stromerzeugung für die Elektro-Mobile der Bewohner. Am besten wäre eine überschüssige Energieerzeugung, die in die Netze einspeist werden könnte.
Das bedeutet eine Bauweise mit zur Sonne ausgerichteten großen Dachflächen und eine Stellung der Häuser, die eine gegenseitige Verschattung ausschließen.
Verlangen Sie Satteldächer mit einer Ost-West-Firstrichtung, damit solare Energiegewinnung ermöglicht wird!
Verlangen Sie zusammenhängende Bereiche mit zwingend eingeschossigen Gebäuden oder mit zwingend zweigeschossigen Gebäuden, damit alle Dächer gleichermaßen besonnt werden können!
Die genannten Punkte bedeuten sicherlich eine Beschränkung von denkbaren Bauweisen im Plangebiet.
Aber die bisherige Bebauung im Rosenkamp und auch im etwas älteren Gebiet Finkenhütte zeigt, dass die Bebauungs-Regeln trotz Beschränkung auf die Eingeschossigkeit eine große Vielfalt baulichen Ausdrucks ermöglicht haben.
Insbesondere bei den bisherigen Regeln zur Verwendung bestimmter Materialien und Farben stehen wir einer Ausweitung der Möglichkeiten nicht im Wege. Die geplante Verwendung von Putz auf Wärmedämmsystemen soll nur in weißem Farbton möglich sein. Eine Verwendung von Holzfassaden, auch farbig behandelt, ist weiterhin nicht vorgesehen.
Verlangen Sie Möglichkeit von farbig gestalteten Putzfassaden!
Verlangen Sie die Möglichkeit von Holzfassaden!
Wir meinen, mit den genannten Forderungen für eine zukunftsfähige Entwicklung der Wohngebiete dieser Stadt einzutreten!
Die Bürgerbeteiligung zum Änderungsverfahren läuft noch bis zum 30. November diesen Jahres. Die genaue Bezeichnung lautet: B-Plan Nr. 119 „Oedeme-Süd“. Die Unterlagen und insbesondere die Begründung kann man sich im Bauamt, Bereich Stadtplanung, erster Stock vor Zimmer 28 im Gebäude Neue Sülze 35 neben dem Rathaus ansehen und von einem Mitarbeiter erläutern lassen. Wer seine Vorschläge nicht schriftlich vorbringen mag, kann dies auch dem Sachbearbeiter mündlich zur Niederschrift mitteilen. Die Unterlagen finden sich auch im Internet als Vorlage zur Sitzung des Ausschusses für Bauen und Stadtentwicklung vom 4.10.2011 mit den Anhängen Plan und Begründung: http://www.stadt.lueneburg.de/bi/vo020.asp?VOLFDNR=4183.
|
Bitte nutzen Sie diese Gelegenheit
Für Fragen stehen wir gerne zur Verfügung.
Ihre Grüne Ortsrats-Fraktion
Sitzungsvorlage des Bauausschusseshttp://www.stadt.lueneburg.de/bi/vo020.asp?VOLFDNR=4183
Am 18. April um 15 Uhr laden wir in den Paradiesgarten Privelack zu einer Veranstaltung rund um historische Nutzpflanzensorten, Saatgut und Biodiversität ein. Mit Vortrag, Praxisimpuls und Diskussion – und der Idee einer zukünftigen Saatgutbibliothek für Amt Neuhaus.
Eintritt frei – alle Interessierten sind willkommen.
Frühjahrsspaziergang für Frauen Der nächste Spaziergang nur für Frauen findet am Sonntag, 19. April, statt. Da wir nun schon einige Male durch Bardowick gegangen sind, [...]
Gäste sind nach Anmeldung bei Claudia Schmidt oder Matthias Wiebe herzlich willkommen.
Gäste nach Anmeldung an ulrich.blanck@rathaus-aktuell.de willkommen.
Mitgliederöffentlich. Anmeldung unter sprecher@gruene-lueneburg.de erbeten.
Gäste sind nach Anmeldung bei Claudia Schmidt oder Matthias Wiebe herzlich willkommen.
Gäste nach Anmeldung an ulrich.blanck@rathaus-aktuell.de willkommen.
Ansprechpartner ist Marc Schuh: ag.soziales-gesundheit@gruene-lueneburg.de
Mit den Maßnahmen des Entlastungspakets hat die Bundesregierung tief in der Mottenkiste gewühlt. Keine davon hilft der Bürger*innen [...]
Wir befinden uns mitten im größten Angriff auf Klimaschutz und Ökologie, den jemals eine deutsche Bundesregierung gestartet hat. Die Koalition [...]
Vom 29. Bis 30. Mai kommen wir zum IM/PULS – Forum für Zukunft im smartvillage Berlin zusammen. Gemeinsam wollen wir die zentralen Fragen [...]